family CERAMBYCIDAE Latreille, 1802
subfamily LAMIINAE Latreille, 1825
tribe Acanthocinini Blanchard, 1845
genus Acanthocinus Dejean, 1821
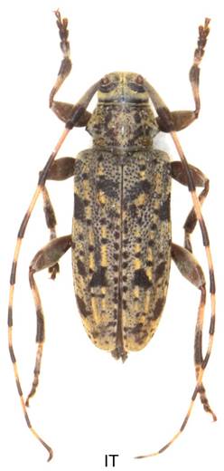
Acanthocinus aedilis (Linnaeus 1758)
|
CZ |
CZ |
CZ |
CZ |
CZ |
CZ |
|
|
|
|
|
|
|
Velikost 11-20 mm, délka tykadel ♂♂ 25-90 mm.
Bionomie. Typický druh borových souvislých lesů i drobných lesíků. Vývoj především pod silnou, zřídka pod slabou borovou kůrou pokáceného nebo vyvráceného nebo jinak odumřelého dřeva. Protože silnější výřezy jsou z lesa odváženy, probíhá vývoj nejčastěji pod kůrou pařezů. U stojících stromů jsou napadány téměř jenom dolní části, ležící stromy po celé délce kromě míst s velmi slabou kůrou. Larvy vyžírají pod kůrou ploché chodby. Před zakuklením larva vyhlodá v bělové vrstvě dřeva mělce (obvykle do 2 cm) plochou kukelní komůrku. Často tam, kde je silnější kůra, vyhlodá komůrku přímo v ní a kuklení pak proběhne tam, nebo se zakuklí mezi kůrou a dřevem a kukelní komůrku obloží vykousanými třískami . Nová imaga se líhnou od VIII. do X. a přezimují v komůrkách. Zcela výjimečně v dlouhých teplých letech vylézají imaga již na podzim. Z těchto nálezů vznikl často publikovaný omyl o dvou generacích v roce. Vývoj je obvykle dvouletý, spolehlivě jsem ale zjistil i jednoletý. V pařezech stromů, které jsem sám kácel, byla příští rok na jaře imaga. - Imaga se vyskytují venku někdy již v III., většinou pak od poloviny IV. do poloviny V., někdy až do počátku VI. Večerní a noční druh, přes den jsou imaga většinou skryta ve štěrbinách kůry a pod dřívím, často však i přebíhají po dříví, někdy i létají. Bývá zavlékán s palivovým dřívím i do domácností, odtud “tesařík domácí”.
Živné rostliny - Především různé druhy Pinus, uváděn bývá také na Picea, Abies a Larix
Variabilita. Značná variabilita je ve velikosti imag. Velmi variabilní je také kresba na krovkách.
Acanthocinus griseus (Fabricius, 1792)
Acanthocinus griseus griseus (Fabricius, 1792)






Acanthocinus griseus novaki Tippmann, 1952





Velikost 8-13 mm.
Bionomie. Jehličnaté, především smrkové lesy všech kategorií. Vývoj larev pod kůrou oslabených, vyvrácených, čerstvě pokácených nebo i stojících stromů s čerstvým lýkem. Údaje o vývoji larev v suchém dřevě se nezakládají na pravdě, dřevo musí mít určitou vlhkost. Suchým se toto dřevo může někdy stát až během dalšího vývoje larev a pak obvykle dochází i k úhynu larev. Tento druh napadá obvykle dříví, které již bylo napadeno kůrovci, zejména druhy Ips typographus ((L.) a duplicatus (Sahlb.), méně často Pityogenes chalcographus (L.). Dává přednost silnějším průměrům do neomezené tloušPky, ale můžeme je najít i ve slabých větvích cca od 3-5 cm. Larvy vyžírají ploché chodbičky, které ucpávají vyhlodanou drtí s exkrementy, později i s třískami, nebo je vyhazují otvory ven. Kuklí se v mělké ploché komůrce pod povrchem dřeva (do 10 – 15 mm), méně často přímo pod kůrou, nebo přímo v silnější kůře (Pinus). Komůrka bývá podélná i šikmá k ose dřeva. Závrtový a zároveň výletový otvor je ploše oválný, ucpaný až 6 mm dlouhými třískami. Přezimuje v larválním stadiu. Kukelní komůrka je hotová převážně již na podzim, méně často ji larva vyhlodává až na jaře. Doba vývoje jeden až dva roky, zřejmě podle místních a teplotních podmínek. – Imaga se vyskytují od VI. do VIII., maximum konec VI. – VII. Přes den jsou schována na spodní straně dřeva, ve štěrbinách a pod šupinami kůry, zřídka přebíhají po kůře. Soumračný a noční druh, přilétá často na světlo.
Živné rostliny - Zejména Picea, méně často Pinus sylvestris a uncinata.
Acanthocinus griseus Fabricius, 1792 ssp. ?
Zřejmě nepopsaná subspecie. Imaga jsou obvykle určována jako Acanthocinus carinulatus Gebler, 1833






Acanthocinus carinulatus Gebler, 1833

Acanthocinus reticulatus (Razoumovsky, 1789)
|
|
|
|
|
|
|
|
CZ |
GR |
CZ |
CZ
|
|
|
|
|
|
|
|||
Velikost 9-15 mm.
Bionomie. Pouze jehličnaté jedlové porosty původního výskytu. Larvy se vyvíjejí pod kůrou oslabených, nebo čerstvě odumřelých stojících stromů (nikdy jsem nezjistil napadení ležícího dřeva). Napadá dřevo silnějších průměrů cca nad 15 – 20 cm, spíše středních a horních podkorunových částí (až do výše 20 – 30 m). Oddenky bývají obsazeny druhem Rhagium inquisitor. Chodby larev jsou ploché, zasahují do kůry, později i částečně do běle. Jsou ucpané drtí s exkrementy a později i třískami dlouhými až 8 mm. Před kuklením larva vyhlodá komůrku zasahující mělce do dřeva. Výletový otvor je ucpaný opět třískami dřeva. Dobu vývoje se mi nepodařilo zcela přesně objasnit. Prvou zimu přezimuje zcela jistě v larválním stadiu. Imaga se líhnou v letních měsících v VI. a VII., někdy až VIII. Velmi malá část larev, které jsem choval, přezimovala v tomto stadiu ještě další zimu. Našel jsem, stejně jako někteří další sběratelé, přezimující imaga pod odchlípnutou kůrou, nikdy však ne v kukelních komůrkách. Podle těchto okolností není jasné, zda přezimují všechna imaga, nebo pouze část, také není jasné, zda jsou imaga pohlavně dozrálá již prvým rokem, nebo až po přezimování. Doba vývoje se udává dvouletá, ale ve skutečnosti, uvažujeme-li dobu do pohlavní dozrálosti, je možná až tříletá. - Nebereme-li v úvahu přezimující imaga naleená pod kůrou, byla sbírána v našich podmínkách různě od V. do IX., převážně na zpracovaném dříví nebo vyvrácených stromech. V Řecku jsem sklepával v VI. imaga z větví odumírajících Abies. Noční druh.
Živné rostliny - Vývoj pravděpodobně pouze v Abies, i když se udává také Picea a Pinus. Když jsem se pokusil donesené larvy pocházející z Abies dochovat v Picea, dosáhla úmrtnost cca 90 %, při dochovávání v Abies nedosahovala ani 10 %.
Acanthocinus hispanicus Sama & Schurmann, 1981

|
Acanthocinus henschi Reitter, 1900
Velikost 7-10 mm Bionomie. Vývoj je udáván pod kůrou větví Pinus.
Acanthocinus xanthoneurus (Mulsant & Rey, 1852) |
|
|


Acanthocinus griseus Fabricius, 1792 CZ Picea




Acanthocinus reticulatus Razoumovsky, 1789 CZ Abies



